Sign up to get new listings emailed daily! JOIN SIGN IN
Derrike Schmitt
REALTOR®
VCard Icon 

Lot 3 Leicester St., Auburn, MA 01501

$124,900
  • Main Photo

1 Total Photos [Click to View All]

New to the Market Active
LOT SIZE 4.879 acres MLS#73503735
STATUSActive PROPERTY TYPELand - Commercial

Property Description

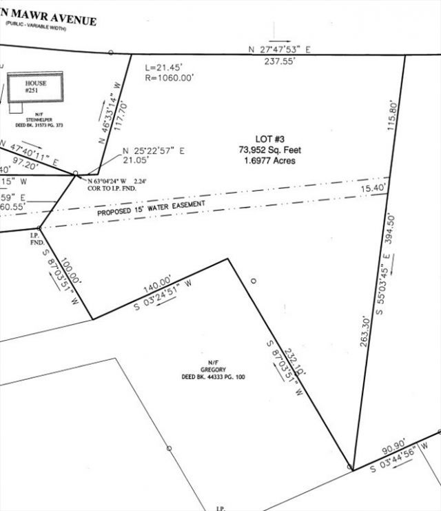
Rare opportunity to acquire a large buildable lot in a convenient Auburn location. Situated between and behind 160??166 Leicester Street, with additional access potential from Bryn Mawr, this parcel offers flexibility for builders, developers, or end users.Lot 3 consists of approximately 73,952 sq ft (1.70 acres) and is offered at $124,900. With its size and depth, the lot provides excellent potential for a variety of residential uses (buyer to perform due diligence).Additional land is available, as Lots 2 and 4 abut this parcel and may be purchased together or separately, offering expanded opportunities for those seeking more acreage.Conveniently located near major routes, shopping, and local amenities, while still offering a private, tucked-away setting. A great opportunity in a desirable Auburn location.

Lot 3 Leicester St. | MLS# 73503735

This land located at Lot 3 Leicester St., Auburn, MA 01501 is currently listed for sale with an asking price of $124,900. The property has approximately 4.88 Acres. Search Auburn real estate on derrikeschmitt.masiellogrouprealestate.com today.

Property Features

Property Type: Land - Commercial
Lot Size: 4.88 Acres
Taxes: $0

Feature Descriptions

Compensation Based On: N/A
Compensation Broker Transaction: N/A
Compensation Buyer Agency: N/A
Compensation Sub Agency: N/A
Compensation Sub Agency Offered: N/A
Electric: At Street
Lot Features: Rolling Slope, Sloped
Rental Term: Monthly
Sewer: Private Sewer, Public Sewer, At Street
Water: Private, Public

Local Schools

High School: Ahs
Middle School: Ams
Elementary School: Bryn Mawr

Listed By / Shown By

Listed By

Agency Name: Lamacchia Realty, Inc.
Agency Phone: 508-832-5324
Agent Name: Mulryan and Maher Group

Shown By

Agent Name: Derrike Schmitt
Agent Phone:
Agency Title: Better Homes and Gardens Real Estate The Masiello Group

IDX logo

TOUR PROPERTY

Choose a date and time to see Lot 3 Leicester St., Auburn, MA 01501.
I will get in touch with you shortly.

Request a Showing
Choose your video chat app
  • Saturday April 18
  • Sunday April 19
  • Monday April 20
  • Tuesday April 21
  • Wednesday April 22
  • Thursday April 23
  • Friday April 24
  • Saturday April 25
  • Sunday April 26
  • Monday April 27
  • Tuesday April 28
  • Wednesday April 29
  • Thursday April 30
  • Friday May 1
  • Saturday May 2
  • 7:00 AM
  • 7:30 AM
  • 8:00 AM
  • 8:30 AM
  • 9:00 AM
  • 9:30 AM
  • 10:00 AM
  • 10:30 AM
  • 11:00 AM
  • 11:30 AM
  • 12:00 PM
  • 12:30 PM
  • 1:00 PM
  • 1:30 PM
  • 2:00 PM
  • 2:30 PM
  • 3:00 PM
  • 3:30 PM
  • 4:00 PM
  • 4:30 PM
  • 5:00 PM
  • 5:30 PM
  • 6:00 PM
  • 6:30 PM
  • 7:00 PM
  • 7:30 PM
  • 8:00 PM
  • 8:30 PM
  • 9:00 PM
Preferred Communication Method

Estimate Your Payment

Estimated Payment

$ 314.40 per month $277.97 Principal & Interest $0.00 Property Tax (data not provided by mls) $36.43 Homeowner's Insurance

Change Payment Information

%
years/fixed
yearly
yearly (est.)
(Payments are an estimate and may vary by lender)
Disclaimer: All information deemed reliable but not guaranteed. All properties are subject to prior sale, change or withdrawal. Neither listing broker(s) or information provider(s) shall be responsible for any typographical errors, misinformation, misprints and shall be held totally harmless. Listing(s) information is provided for consumers personal, non-commercial use and may not be used for any purpose other than to identify prospective properties consumers may be interested in purchasing. Information on this site was last updated 04/17/2026. The listing information on this page last changed on 04/17/2026. The data relating to real estate for sale on this website comes in part from the Internet Data Exchange program of Delta Media Group MLS (last updated Fri 04/17/2026 2:15:40 PM EST) or MLSPIN MLS (last updated Fri 04/17/2026 2:11:03 PM EST) or Prime MLS (last updated Fri 04/17/2026 2:12:53 PM EST) or MREIS (last updated Fri 04/17/2026 2:06:44 PM EST). Real estate listings held by brokerage firms other than Better Homes and Gardens Real Estate The Masiello Group may be marked with the Internet Data Exchange logo and detailed information about those properties will include the name of the listing broker(s) when required by the MLS. All rights reserved.
Privacy Policy / DMCA Notice / ADA Accessibility

Agency License Information: Better Homes and GardensĀ® and the Better Homes and Gardens Real Estate Logo are registered service marks owned by Meredith Corporation and licensed to Better Homes and Gardens Real Estate LLC. The Masiello Group Limited fully supports the principles of the Fair Housing Act and the Equal Opportunity Act. Each franchise is independently owned and operated. Any services or products provided by independently owned and operated franchisees are not provided by, affiliated with or related to Better Homes and Gardens Real Estate LLC nor any of its affiliated companies.


Login to My Homefinder

Pixel